お知らせ
Notice

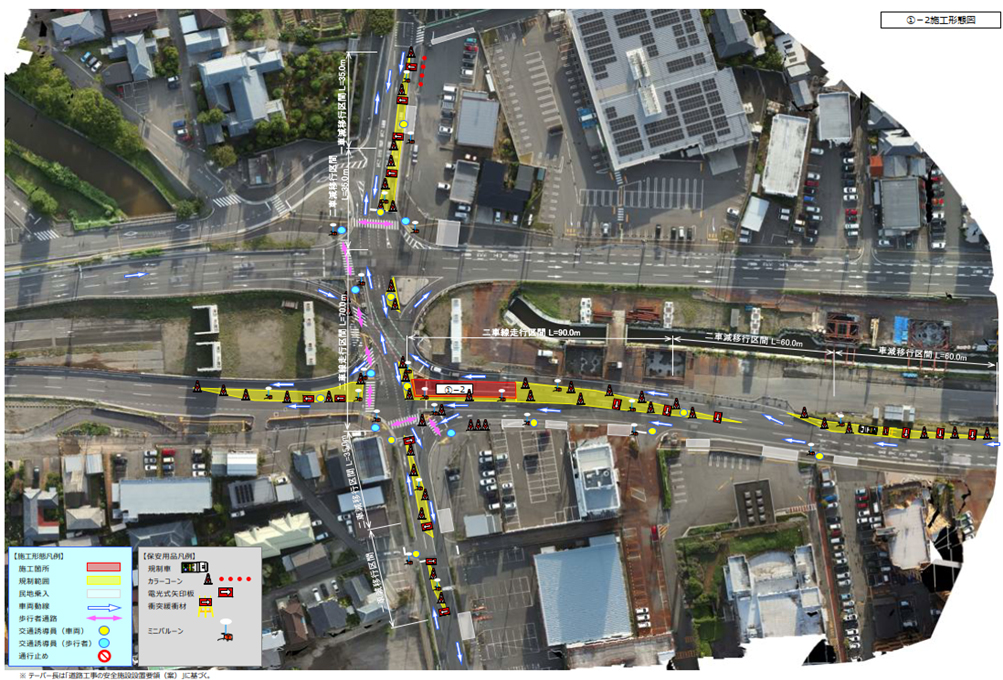
笹越橋交差点にて夜間交通規制のお知らせ

※交通規制は終了しました。ご協力いただきありがとうございました。

3月5日(木)から3月6日(金)の交通規制形態を下記にてお知らせします。
なお期間は天候により順延いたします。ご通行時、交通誘導員の指示に従いますようご協力の程よろしくお願いします。


最後の交通規制となる予定です。
金曜日ですと渋滞も予想されますのでお急ぎの方は迂回をお願い致します。
















夜間交通規制のお知らせ

※交通規制は終了しました。ご協力いただきありがとうございました。

2月12日(木)から2月18日(水)の交通規制形態を下記にてお知らせします。
なお期間は天候により順延いたします。ご通行時、交通誘導員の指示に従いますようご協力の程よろしくお願いします。



















交通規制のお知らせ

※交通規制は終了しました。ご協力いただきありがとうございました。

11月28日(金)の交通規制形態を下記にてお知らせします。
期間中【タイムテーブル】の内容で規制いたします。ご通行時、交通誘導員の指示に従いますようご協力の程よろしくお願いします。